Menjangan Island: trash and treasure
The dive guide looked at me in alarm. “January? That is not a good season for diving in Bali. He held a map of the balloon-shaped island, and with his other hand he brushed its upper portions. “It’s rainy season; storms come from the north, and the sea has a lot of trash… sometimes guests complain about all the rubbish – we say sorry, sorry, but what can we do?”
That was a month before the trip, and even though we are well aware of the seasonal blight, Bama and I are not at all deterred. Neither are the other guests as we sail past several patches of decomposing plastic bags, drinks containers and snack wrappings en route to Menjangan Island.
We ask Made, our jovial snorkelling guide, if he knows where the floating garbage comes from. “From Bali, from Java,” he says. Nicolas, a French documentary filmmaker who speaks fluent Indonesian, pipes in half-jokingly: “Dari manusia.” From humans.
The unfortunate truth is that Indonesia is the world’s second biggest marine polluter, disposing 3.2 million tonnes of plastic waste into the ocean per year. That is some way behind China’s whopping 8.8 million tonnes, but still 70% more than the next top offender, the Philippines.
Made scans the sea for more signs of pollution as we approach the first snorkelling site off Menjangan Island. “If there is garbage,” he says matter-of-factly, “we’ll go somewhere else.”
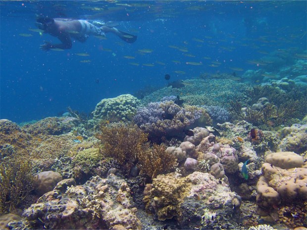
In the water there are occasions when we briefly encounter plastic debris, but thankfully the floating garbage does little to detract from the wonders below the surface. Here, the shallow reef of hard coral slopes down to a drop-off – a sheer wall that vanishes in the depths. I watch in amazement as Nicolas freedives some four or five metres below, swimming effortlessly through a coral-encrusted arch without touching the delicate frame. “I am not a diver,” he later says, “but an avid snorkeller.”
Further along the reef, giant clams peek out with slow-waving mantles in navy blue and a rich, deep purple. I come across my first gorgonian sea fan, a mesmerising pink among the sepia tones of the surrounding coral heads.
The reef’s more active residents – which are no less colourful – seem undisturbed by our presence as they glide past. We are drawn to the luminous yellow of two foxface rabbitfish, and the streamlined beauty of several Moorish idols. I stalk a parrotfish, named for its distinctive beak, as it forages and nibbles on coral polyps. In another nook Bama sees an aptly-named titan triggerfish, which sports beguiling patterns of white, black, pastel blue and yellow. When we show Made a photo of the titan, he exclaims, “Oh! These ones are dangerous!”
At the second snorkelling site we notice a dramatic temperature difference in the water – first the sensation of a cold current welling up from the deep, then a warm, sun-kissed layer directly over the reef. Made takes the lead with a stainless steel rod in hand, which he uses for pointing out the resident critters and unusual kinds of coral.
We spot clownfish hiding within the protective tentacles of sea anemones, drift over a series of gaping chasms, and discover a trio of larger gorgonian sea fans lined up on the edge of the drop-off. I linger for a while, swimming in circles around the sea fans until the rest of our group is nowhere to be seen. Even at the height of trash season, we realise, the reefs of Menjangan Island are still a magnificent sight. ◊





Thank you for the facts about ocean dumping. I did not know the numbers nor countries.
The figures were released less than two weeks ago – what makes this all the more sobering is the fact that the study only estimated the amount of plastics dumped in 2010. I’d bet that the situation today is even worse.
Wow, 2010 huh? Very disheartening.
Looking to find a positive in the mess humans are continuing to make of the beautiful planet could be reports are easier to obtain in the present. With the Internet, information is quicker to reach others. The more awareness, the better the planet will be.
You seemed to be hypnotized by those giant clams, James, as much as you were mesmerized by the chocolate chip sea stars we saw near Kanawa months earlier. Honestly I didn’t expect the two snorkeling sites near Menjangan Island to be that beautiful, but that trip further convinced me to get a diving certificate at one point in the future. Indonesia’s underwater beauty is just too good to miss. Your photos certainly made me want to book some random flights right away to Indonesia’s remote corners!
I was definitely hypnotised, Bama! To see giant clams and sea stars in real life was a big moment for me – up until these trips they only existed in my imagination. The same could be said for those wondrous gorgonian sea fans. And yes, after snorkelling in Komodo and Menjangan Island, I am seriously thinking of getting certified as well!
Both of you do get certified! In many places snorkelling is just not enough to see all the beauty that is there to be seen! James you can actually get certified in HK although there are challenges as the visibility is not always the best but once you have the certificates then go exploring! Definitely something you should both have covered before the, or towards the early part, of your spice route journey!
Thanks for the encouragement, David! Multiple friends have told me to get certified in HK – they say all the sea urchins will help with buoyancy and the viz means that wherever else I go, it’s bound to be amazing!
Thank you for sharing a beautiful, yet realistic look at Indonesia’s reefs. I’m a keen diver and would love the opportunity to dive there one day, however had no idea of the amount of rubbish being put into the ocean. Hopefully humans can alter their behaviour in the coming years, before too much of the reef is permanently damaged.
You’re welcome. I felt that it would be dishonest not to write about the trash problem we saw firsthand. That said, Indonesia has an amazing number of dive sites, especially in the sparsely populated eastern islands. Generally the best season is from June to August although it differs in certain regions.
Wow! I have very limited snorkeling experience (although my one time was pretty spectacular – in the Great Barrier Reef), but this looks amazing. The trash numbers are startling and sobering.
I would love to snorkel the Great Barrier Reef one day! This was only my second time snorkelling (after Komodo) and both those experiences have set the bar very high. The lack of environmental awareness is a major problem throughout Asia’s developing countries – a lot of people simply don’t think about the consequences when they discard their rubbish out in the open.
Parrotfish is glorious! Sounds like a lot of fun!
The colours were even more vibrant in real life – if I had taken decent photos of the other fish (like Moorish idols) I would post them here too!
Underwater photography is really difficult. (You should see mine. They are terrible!) You are floating after all. The photos are great!
Reblogged this on A Flash Packers Guide and commented:
Some lovely photos and the reason why we should leave nothing but footprints! Lets hope people stop trashing our planet!
Agreed! Someone needs to make an award-winning documentary about the state of our oceans… that could really help to raise awareness. Thanks for reblogging this post.
Menjangan was one of our highlights of Indonesia, and the trash was the biggest disappointment. We didn’t see much trash there, but lots of it at 17 Islands in Flores.
I am a terrible snorkeler, usually panicking and sucking down water the first 10 minutes in the water until I get comfortable. At Menjangan, I immediately started swimming around without problem. “It was so awesome, I forgot to panic!!!” I said.
Yes, multiple bloggers have said that Indonesia is one of the most beautiful countries on earth, but at the same time they are dismayed to see the amount of trash lying around on its hiking trails, beaches and in the ocean.
I did the exact same thing when I snorkelled at Pink Beach in Komodo – although technically it was my first time and we did have to jump quite a distance from the boat! That combination made it a pretty daunting experience.
Wow!
It was pretty stunning! Sorry I didn’t reply till today – I missed your comment somehow.
I was in Bali for my first time this January. Didn’t get to dive, but I was very disheartened by the amount of garbage on the beach.
I was expecting the worst when we went snorkelling – thankfully it wasn’t quite as bad as what you saw on Kuta Beach!
Stunning photography James, there is something I find very relaxing and mysterious about underwater photography ~ it seems to be able to take the viewer right into the photo. Well done. I loved the comment about where waste & trash comes from (from humans), and it is very sad. A friend of mine sent me a video clip from pre-1938 Hong Kong of ‘crystal clear waters on the south side of the island…” which is sure different these days. Wonderful post!
That’s very kind Randall – and really quite something considering your gift in photography! We borrowed a compact camera from the resort and it did a great job. I can’t fathom seeing crystal clear waters in Hong Kong… we have such a major problem with pollution and floating trash here.
Your photos are spectacular James! I can imagine how exhilarating it must have been. Greener than that parrot fish with envy 🙂 Sad about the increasing amounts of trash choking our coastlines though.
Thank you, Madhu! I’m sure this is something you and R could do – the snorkelling was a breeze and the currents there weren’t strong at all. Perhaps you will see the same reef on that future trip to Bali. 🙂
So much garbage – how depressing. Luckily the reef appears unscathed (so far)
Sadly there was a moment when I saw a large plastic bag drifting over the reef – it didn’t snag on the corals, but it just goes to show how much damage we are doing to the planet.
Have definitely been on snorkeling trips in Asia (off the coast of Hoi An, Vietnam, Halong Bay, and Tioman Island, Malaysia) where I occasionally had to sift through a bit of floating garbage to get to the subaquatic beauties below. A damn shame, and hopefully reversible over time.
I hope so too; frankly I wonder how long it will take for people across Asia to become more environmentally conscious. So much of the garbage in the world’s oceans come from these countries, and with rising levels of consumerism that is only going to get worse.
Another great post. Love the words, love the photos. Garbage, though, is garbage. Indonesia might be so high because of the huge population. And all the coastline bordering ocean. They smoke a lot of cigarettes there, too!
Thanks! I’m not surprised that Indonesia is the world’s second-biggest source of floating plastic garbage… Java alone has 139 million people crammed onto one island. That’s more than half the entire population of Indonesia!
Right, and the bad thing is…plastic is so dang handy, useful, and unbreakable. Who wouldn’t use it. It’s what happens after using that we need to work on.
A bit surprise with your experience about trash in Menjangan Island. Since, I had a good experience while explore it in the end of 2012. Well, maybe because of the season, so the garbage run off to there.
For me, so far Menjangan Island is the best snorkeling and freedive spot. The fish, the corals, and the drop-off wall are in a great condition. Even compare to the Gilis in Lombok and the most famous waterpark one -Bunaken- in North Sulawesi.
But thanks for the post James, it gives us more awareness about this problem.
You’re welcome, Bart. Even though we went at the worst time of year, the snorkelling at Menjangan Island was still incredible – I was just amazed by the sheer drop-offs and the amount of fish life around the reefs. It would be great to return in dry season, when the waters are clear and pristine!
Great blog! I found you through Alison and Don’s blog. Menjangan Island is one of my all time favourite snorkel spots (I’d like to go back and dive). I’ll be reading through your posts on Spain as my son is heading to Seville for a 4 month study/travel term (I’ll be visiting for sure).
Thank you, Caroline. I would love to go back to Menjangan Island during dry season – I’m not yet PADI-certified but maybe I’ll take a course in the near future. Spain is my favourite country in Europe and a great choice for studying abroad. I’m sure you and your son will love it there!